false

/content/dam/corporate/images/chau-chak-wing-museum-restricted-images/education-programs/learning-resources/weevils/nhen.3809_02.640x640.jpg

50%

A world of weevils

Learning resources for primary school students studying biology and the environment

m-hero--style-1

800.534.2x.jpeg 1600w, 1280.1280.jpeg 1280w, 220.147.2x.jpeg 440w, 440.294.2x.jpeg 880w

false

Insects and humans interact with each other and with their environments; we can learn about the behaviour and development of insects and people by exploring these interactions. Often regarded as pests, insects can have lots of beneficial uses as well as being a vital part of the Earth's biodiversity.

_self

Explore our natural history collections

h2

cmp-call-to-action--ochre

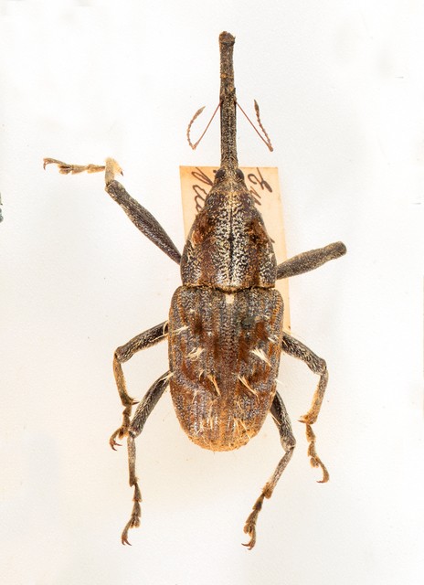
A selection of weevil specimens from the Macleay collection, be sure to look at the length of their snouts.

50

automatic

Link

Have you or your parents ever opened a bag of flour or rice, only to find little insects crawling around inside? You have just met some hungry and nosy friends (or enemies) called weevils! These are one of several thousand different species of weevils, which come in all manner of colours, shapes and sizes.

How do you tell the difference between an insect? A beetle? Or a weevil?

A selection of weevil specimens from the Macleay collection, be sure to look at the length of their snouts.

50

automatic

Link

The Macleay entomological collection has insects collected from all corners of the world. Below are six examples from our weevil collection, one from each continent (except Antarctica), with interesting facts on how they relate to their environment or to human culture.

Not all weevils deserve a bad rap! 

1. Asia - Rhynchophorus

Palm Weevil

Palms (Palmaceae)

West Malaysia

Entomophagy is the practice of eating insects and is common throughout non-Western nations across the world.

Thousands of ‘bug’ species are edible, and the palm weevil larvae (called palmworms) are among the tastiest. Rich in protein, vitamins and minerals, they have a creamy texture when raw, and are said to taste like bacon when fried. Besides being a nutritious delicacy for indigenous communities, they also supplement farmers’ incomes and help during times of food shortages. There is great potential for farming insects as a source of protein, which can be a sustainable alternative to intensive animal farming.

Dry specimen; Rhynchophorus sp. (NHEN.10461) palm weevil

50

automatic

Link

2. Africa - Brachycerus apterus Linnaeus 1758

Lily Weevil

Amaryllis 

South Africa

Among the Zulu people -a Bantu ethnic group from Southern Africa- this weevil has several uses.

In traditional healing rituals they were said to remove pain and to cure convulsions. Several may be strung together with beads or tied at the throat to ‘eat away at illnesses’. Furthermore, red and black are colours associated with healing among the Zulu.

They can also be used as an amulet against witchcraft. Although unconfirmed, this weevil is likely toxic. Its host plants are the Amaryllis, well known to be a poisonous flora. With its highly contrasting colours it has no observable predators, which probably led to its use as a protective charm.  Naturally dotted objects like this weevil were also used in divination. 

Dry specimen; Brachycerus apterus Linnaeus, 1758

50

automatic

Link

3. South America - Entimus splendidus

Brazilian Diamond Weevil

Unknown

Brazil

The sparkling colours of this and several similar species make diamond weevils popular in local handicrafts, jewellery and insect collections. Even the scientific name of this very specimen, Entimus splendidus, reminds people of its splendid beauty.

The shiny colours are not just for show; they serve an important function. They help hide the beetle in plain sight from predators like birds: “Wait a minute!” you might say. “Wouldn’t it become even more noticeable?” In the rainforests, sunlight is reflected off waxy leaf surfaces and water droplets. From a distance, the diffused reflection from the weevil’s shiny body, plus its dark base colour, makes it blend in perfectly with the jungle background.

Dry specimen; Entimus splendidus

50

automatic

Link

4. Europe - Curculio glandium Marsham

Nut Weevil

Nut trees; including Oak, Hickory, Hazelnut, Chestnut and Pine

Hungary

Curculio species are commonly known as ‘nut weevils’. The female’s long snout enables her to drill deep into an immature nut and deposit a single egg. By the time we see a hole on the nut, it would have been eaten by the larva within. The larva would have crawled out of the hole and burrowed into the ground, where it will continue to mature.

Members of the nut weevil family have widely dispersed, even travelling as far as Australia. This can occur from imports with packing materials containing adults, or seeds with live eggs in them. To prevent further invasion of nut weevils and other foreign species, Australia has one of the strictest biosecurity regimes in the world.

Dry specimen; Curculio glandium Marsham

50

automatic

Link

5. Australia - Eurhamphus fasciculatus Shuckard

Giant Pine Weevil

Araucaria Pines

Australia

Australia’s largest weevil feeds on two types of coniferous trees which are native to the country and very important to Aboriginal people.

The Hoop Pine (Araucaria cunninghamii) was used to make boomerangs and coolamons (carrying vessels), while its sap was used to glue axes to handles.

At Bunya feasts, thousands of Aboriginals would gather from hundreds of kilometres to celebrate around the Bunya Pines (Araucaria bidwillii), during seasons when their football-sized cones ripened and dropped onto the ground. The gatherings would include ceremonies, dispute settlements, marriage negotiations and trade activities. Adult weevils are also known to congregate in large numbers and feed on dying pines, while the larvae feed on the inner bark. In this way, both larvae and adults decompose the dying tree and recycle its nutrients back into the environment.

Dry specimen; Eurhamphus fasciculatus Shuckard, 1838

50

automatic

Link

6. North America - Anthonomus signatus Say

Strawberry Bud Weevil

Buds of strawberries (Fragaria x ananassa)

United States and Canada, North America 

Although a destructive pest of strawberry farms, this weevil also plays a crucial role by providing free pruning services. During seasons with too many flowers and fruit buds, the weevil acts as a natural ‘thinner’ to reduce overcrowding. Less competition for nutrients among the remaining buds will increase the size and quality of the fruits that develop.

Dry specimen; Anthonomus signatus Say

50

automatic

Link

Learning activities

  1. Using one of the examples above as a guide, draw and label the parts of a weevil (include the body, thorax and abdomen; and don't forget the elytra and mouth!)
  2. Draw or print a map of the world, then locate and label the countries and continents where these weevils come from.
  3. The picture at the very top of the page is a close-up of a weevil's iridescent hard outer shell, can you identify which weevil it is?
  4. Research the term biodiversity and illustrate an example of the term using insects.

Feature image caption: Dry specimen; Entimus splendidus

Get
in touch

Contact us

Phone: +61 2 93512812

Email: ccwm.info@sydney.edu.au

Chau Chak Wing Museum
University Place
Camperdown NSW 2050

Connect